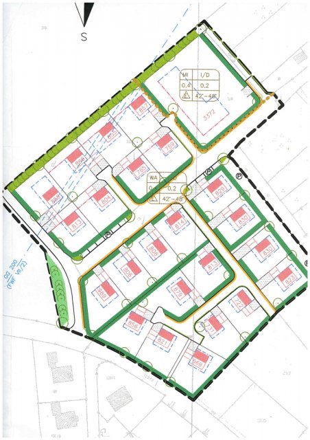
Das Baugebiet "Birkenfeld" in Dorfkemmathen:
Das Baugebiet "Birkenfeld" komplett mit dem II. Bauabschnitt:
Bildnachweis: Gemeinde Langfurth
Zum Inhalt, zur Navigation oder zur Startseite springen.
Gemeinde Langfurth | Online: https://www.langfurth.de/


Sie sind hier: Leben & Wohnen > Bauen & Wohnen > Bauplätze
Gemeinde LangfurthAlle Bauplätze im Baugebiet Birkenfeld, die in Gemeindebesitz sind, sind aktuell verkauft oder reserviert.
Das Baugebiet "Birkenfeld" in Dorfkemmathen:
Das Baugebiet "Birkenfeld" komplett mit dem II. Bauabschnitt:
Bildnachweis: Gemeinde Langfurth
Zum Öffnen von PDF-Dokumenten benötigen Sie Adobe Acrobat Reader. Diesen können Sie hier kostenlos downloaden



